NEWLY LISTED
SWIPE FOR MORE IMAGES
$850,000 MXN
Fermin Espinosa Lote 25 Mnz 21-C
El Marqués, Amazcala, Querétaro 76265
Mexico
El Marqués, Amazcala, Querétaro 76265
Mexico
12,868 sqft ::
1,196 m2
Land for sale, Ranch
Sale price per sqm: 38.99
Remarks: [Translate *]
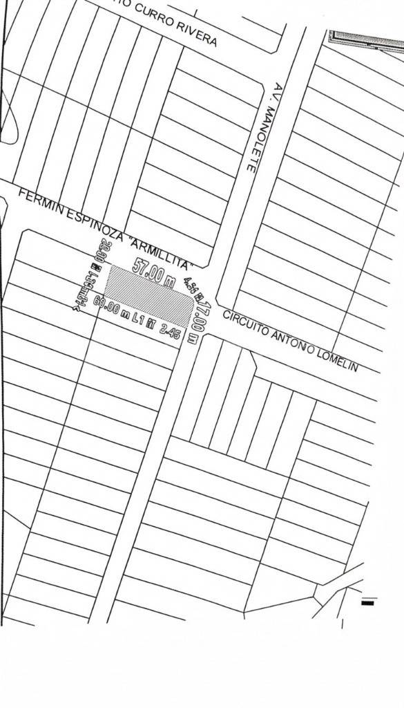
Terreno de 1,195 mts2, ideal para construir la casa de tus suenos y vivir en una zona con plusvalía y mucha tranquilidad.
Terreno plano, en esquina.
17 mts de frente y 57 mts de fondo.
Gran oportunidad de inversión. (ref:600735)
Terreno plano, en esquina.
17 mts de frente y 57 mts de fondo.
Gran oportunidad de inversión. (ref:600735)
Features:
- Reference Number: 1
Location:
Fermin Espinosa Lote 25 Mnz 21-C, El Marqués, Amazcala, Querétaro 76265, Mexico
Listed By CENTURY 21 Invernova
The Land for sale, Ranch located at Fermin Espinosa Lote 25 Mnz 21-C, El Marqués, Amazcala, Querétaro 76265, Mexico is currently for sale. Fermin Espinosa Lote 25 Mnz 21-C, El Marqués, Amazcala, Querétaro 76265, Mexico is listed for $850,000 MXN. If the property located at Fermin Espinosa Lote 25 Mnz 21-C, El Marqués, Amazcala, Querétaro 76265, Mexico isn't what you're looking for, search Querétaro Real Estate to see other Land For Sale in El Marqués.







