SWIPE FOR MORE IMAGES
$12,000,000 MXN
TABLAJE 14160
Valladolid, Ticuch, Yucatan 97783
Mexico
Valladolid, Ticuch, Yucatan 97783
Mexico
453,425 acres ::
183,495 ha
Land for sale, Ranch
Sale price per sqm: 0
Remarks: [Translate *]
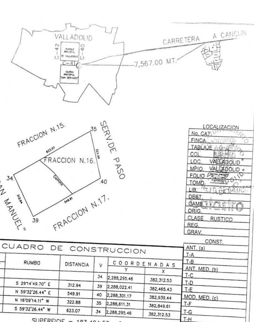
Excelente oportunidad de inversión en la zona turística de Valladolid, uno de los Pueblos Mágicos con mayor proyección de crecimiento en Yucatán. Este terreno de 183,494.5 m² (18.3 hectáreas) cuenta con frente de más de 312 metros y fondo de 586 metros, con acceso a servicios de agua y subestación eléctrica. Su ubicación cercana a carreteras y la llegada del Tren Maya hacen de esta propiedad una opción estratégica para proyectos habitacionales, turísticos o de servicios.
Características de la propiedad
-Terreno: 183,494.5 m² (18.3 hectáreas)
-Frente: 312.1 m
-Fondo: 586.5 m
-Forma: irregular
-Uso de suelo: habitacional
-Servicios: agua y subestación eléctrica
-Estado legal: libre de gravamen
-Propiedad privada
Cercanías estratégicas
-Ubicado en Ticuch, municipio de Valladolid
-A 15 km de Chichén Itzá
-Cercano a cenotes y atractivos turísticos de la región
-Conectividad directa con la carretera Mérida–Cancún
-Próximo al Tren Maya y a aeropuertos internacionales de Tulum y Cancún
Ventajas competitivas
-Terreno amplio y con medidas regulares para proyectos de gran escala
-Ubicación estratégica en un Pueblo Mágico en crecimiento
-Ideal para desarrollos turísticos, habitacionales o eco-proyectos
-Servicios básicos listos para conexión
-Inversión segura en una zona con plusvalía creciente impulsada por el turismo y la conectividad (ref:591108)
Características de la propiedad
-Terreno: 183,494.5 m² (18.3 hectáreas)
-Frente: 312.1 m
-Fondo: 586.5 m
-Forma: irregular
-Uso de suelo: habitacional
-Servicios: agua y subestación eléctrica
-Estado legal: libre de gravamen
-Propiedad privada
Cercanías estratégicas
-Ubicado en Ticuch, municipio de Valladolid
-A 15 km de Chichén Itzá
-Cercano a cenotes y atractivos turísticos de la región
-Conectividad directa con la carretera Mérida–Cancún
-Próximo al Tren Maya y a aeropuertos internacionales de Tulum y Cancún
Ventajas competitivas
-Terreno amplio y con medidas regulares para proyectos de gran escala
-Ubicación estratégica en un Pueblo Mágico en crecimiento
-Ideal para desarrollos turísticos, habitacionales o eco-proyectos
-Servicios básicos listos para conexión
-Inversión segura en una zona con plusvalía creciente impulsada por el turismo y la conectividad (ref:591108)
Features:
- Reference Number: 1
- Utilities: Water
- Lot Frontage: 312.07
Location:
TABLAJE 14160, Valladolid, Ticuch, Yucatan 97783, Mexico
Listed By CENTURY 21 Expert Investment
The Land for sale, Ranch located at TABLAJE 14160, Valladolid, Ticuch, Yucatan 97783, Mexico is currently for sale. TABLAJE 14160, Valladolid, Ticuch, Yucatan 97783, Mexico is listed for $12,000,000 MXN. If the property located at TABLAJE 14160, Valladolid, Ticuch, Yucatan 97783, Mexico isn't what you're looking for, search Yucatan Real Estate to see other Land For Sale in Valladolid.








