SWIPE FOR MORE IMAGES
$70,000 CAD
Rural Address
Weyburn Rm No. 67, Saskatchewan S4H 2K3
Canada
Weyburn Rm No. 67, Saskatchewan S4H 2K3
Canada
0.26 m2 ::
2.84 sqft
Land for sale, Vacant Land
Sale price per sqm: 190,044.38
Remarks:
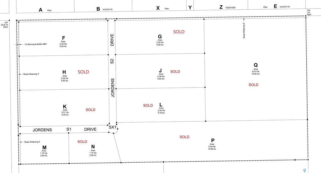
Welcome to the Grasslands - Weyburn's Premier Acreage Development! Located less than a mile from the north edge of Weyburn and just a short drive down the 16th St grid, you'll find a fantastic assortment of acreage plots. The listed property (Parcel 'M') is nicely sized at approx. 3 acres (2.84). The developer has one other acreage parcel available - Parcel 'F' - 5.83 acres which is priced at $85,000+ GST. Servicing the development is a central, drive through, 'L'-shaped grid road (maintained by the RM of Weyburn), from which owners can have access lanes built to their yard sites. Central power, energy, phone, and water lines have been installed along this internal road with the buyer being responsible for the scheduling and cost to bring these into their lot/yard site. This development is zoned by the Weyburn RM as Country Residential and as such, represents a fantastic opportunity for those looking for more space than the city allows, without the disturbance of larger commercial or farming operations. Take a drive out to The Grasslands and look around. With a prime location north of the city, minimal gravel driving, well-maintained central and development access roads, and very convenient distance to Weyburn and access to HWY 35, this acreage development represents an affordable and attractive opportunity for acreage life in view of the city. With several parcels already having completed homes, the development is really taking shape and with only a limited number left available, these acreage plots will go. Call for more information and showings.
Location:
Rural Address, Weyburn Rm No. 67, Saskatchewan S4H 2K3, Canada
Listed By CENTURY 21 HomeTown
The Land for sale, Vacant Land located at Rural Address, Weyburn Rm No. 67, Saskatchewan S4H 2K3, Canada is currently for sale. Rural Address, Weyburn Rm No. 67, Saskatchewan S4H 2K3, Canada is listed for $70,000 CAD. If the property located at Rural Address, Weyburn Rm No. 67, Saskatchewan S4H 2K3, Canada isn't what you're looking for, search Saskatchewan Real Estate to see other Land For Sale in Weyburn Rm No. 67.










