SWIPE FOR MORE IMAGES
$49,900 USD
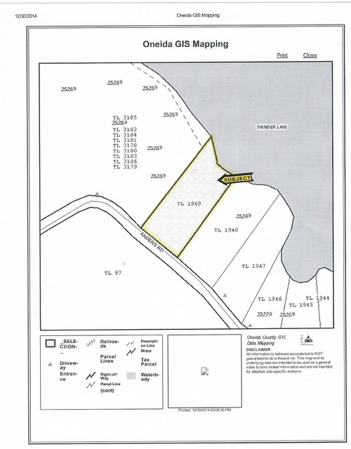
Lot 15 on Anders Rd
Three Lakes, Wisconsin 54562
USA
Three Lakes, Wisconsin 54562
USA
0.275 ha ::
0.68 acres
Land for sale, Agricultural (Not Zoned)
Sale price per sqm: 18.13
Remarks:
Well wooded lake lot on Thunder Lake between Three Lakes and Sugar Camp. 100' of Lake frontage, big, water views, and ideal for a lower level walkout. Thunder Lake is over 1,800 acres in size. Easy access, great fishing, and priced to sell.
Location:
Lot 15 on Anders Rd, Three Lakes, Wisconsin 54562, USA
Listed By CENTURY 21 Burkett & Associates
The Land for sale, Agricultural (Not Zoned) located at Lot 15 on Anders Rd, Three Lakes, Wisconsin 54562, USA is currently for sale. Lot 15 on Anders Rd, Three Lakes, Wisconsin 54562, USA is listed for $49,900 USD. If the property located at Lot 15 on Anders Rd, Three Lakes, Wisconsin 54562, USA isn't what you're looking for, search Wisconsin Real Estate to see other Land For Sale in Three Lakes.
